Business & Tech
Plans For Manchester Housing Cluster Moving Along
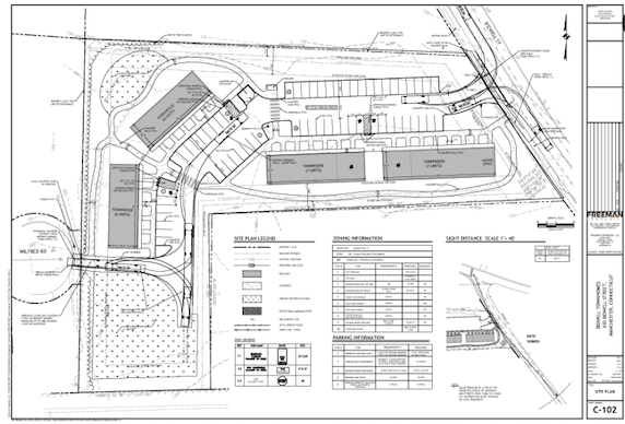
Housing has been proposed for a parcel in Bidwell Street in Manchester.

MANCHESTER, CT — Plans to put housing on a vacant parcel by Manchester Community College are in the next phase of the local regulatory process.
PZC applications have been submitted, requesting approval of a Planned Residential Development Detailed Site Plan and associated Erosion and Sedimentation Control Plan, for proposed construction of a four-building 26-unit townhouse at 30 Bidwell St.
The parcel measures 2.64 acres.
Find out what's happening in Manchesterfor free with the latest updates from Patch.
Back in late May, planning officials said that a developer was requesting a preliminary site plan approval for a zone change from Rural Residence to Planned Residential Development to make way for the project.
Here are the plans:
Find out what's happening in Manchesterfor free with the latest updates from Patch.

Get more local news delivered straight to your inbox. Sign up for free Patch newsletters and alerts.