Politics & Government
Oconee County Planning Commission Once Again Scheduled To Review Plans For Residential Subdivision East Of Butler’s Crossing
Oconee County Schools has raised concerns about the project.

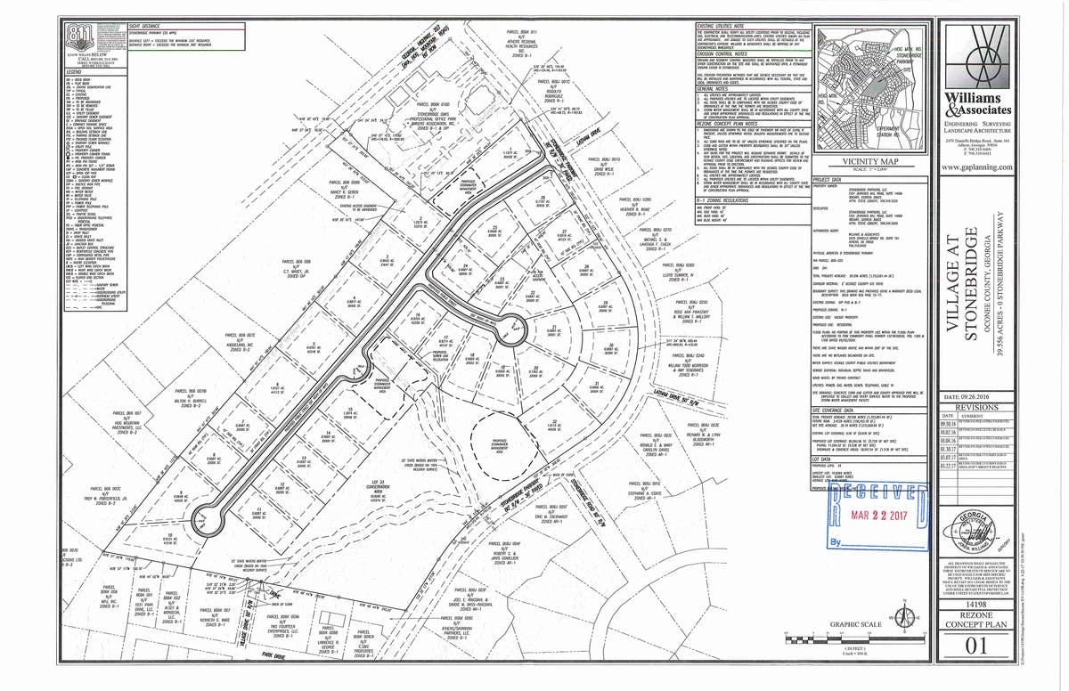
A request by Stonebridge Partners LLC to rezone approximately 40 acres just east of Butler’s Crossing for a 35-lot single-family residential subdivision is back on the agenda of the Oconee County Planning Commission for Monday night.
The request was on the Planning Commission agenda in November, December and February, and each time the applicant pulled the request from consideration at the last minute without explanation.
Oconee County Schools has raised concerns about the project because of its impact on the county’s schools.
Find out what's happening in Oconeefor free with the latest updates from Patch.
Also on the Planning Commission agenda is consideration of an eight-lot single-family subdivision on 9 acres on Hog Mountain Road southeast of U.S. 78
The Commission also will consider a request by the owner of 5 acres on the northwest corner of New High Shoals Road and Union Church Road for special use approval in order to allow a non-compliant landscaping services business in an Agricultural District.
Find out what's happening in Oconeefor free with the latest updates from Patch.
For more on the story, go to Oconee County Observations.
Pictured: Concept Plan For 35-Lot Subdivision.