Community Corner
Comm. Ave. Bridge Closure: 3 Meetings You Should Know About This Week
The Commonwealth Avenue Bridge project begins July 26 and will last 17.5 days, here are the meetings you should know about.

Now that most people have picked up their jaw after hearing the Comm. Ave. Bridge is coming down this summer and a large chunk of main thoroughfare will be closed to traffic, folks are asking for more details. What will this mean for cyclists, commuters, local businesses? MassDOT is hosting three meetings to answer those questions. The first meeting is tonight at Boston University.
The Massachusetts Department of Transportation (MassDOT) said it will hold at least two more public meetings to provide details on the upcoming major construction activities and detour routes for the project and the projected shut down of Comm. Ave. from the BU Bridge to Packard's Corner.
On the agenda: MassDOT team members will describe the summer 2017 construction shutdown - projected to last from July 26 – August 14. They'll also respond to questions. During the shutdown, there will be significant service impacts to all modes of transportation along Comm Ave. in the BU/Saint Paul Street neighborhood and on I-90 (the Massachusetts Turnpike), according to a press release. Subscribe to Boston Patch for more locals news about the Hub.
Find out what's happening in Bostonfor free with the latest updates from Patch.
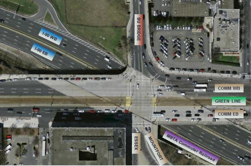
The project will replace the concrete deck and steel beams that carry Commonwealth Avenue and the MBTA Green “B” Line over I-90 and the MBTA Commuter Rail. The plan is to restore the deteriorating bridge while adding safety improvements, including utility relocations, dedicated bike lanes and extensive pedestrian upgrades.
When are the meetings?
Find out what's happening in Bostonfor free with the latest updates from Patch.
- Monday, April 24, 6:30 p.m. - Boston University’s Jacob Sleeper Auditorium (CGS 129) 871 Commonwealth Avenue, Boston
- Thursday, April 27, 6:30 p.m. - Boston University’s Jacob Sleeper Auditorium (CGS 129) 871 Commonwealth Avenue, Boston
- Wednesday, May 3, 6:30 p.m. - Framingham Memorial Building (Town Hall), Blumer Room (Lower Level) 150 Concord Street, Framingham
These are just the first round of public meetings, according to MassDOT.
To recap: The Commonwealth Avenue Bridge project begins July 26 and will last 17.5 days, according to MassDOT. The closure will target mostly cars in both directions until Aug. 14, MassDOT said. Take heart: pedestrians and bicyclists, MassDOT said. It appears local businesses owners and customers, residents, MBTA buses, emergency services will also be permitted to pass, though the details aren't immediately clear.
Subscribe to Boston Patch for more locals news about the Hub.
Also check out this nifty construction simulation that MassDot put out:
Images courtesy MassDOT
Get more local news delivered straight to your inbox. Sign up for free Patch newsletters and alerts.