Real Estate
Montclair Considers New Redevelopment Designation On Bloomfield Avenue
The Montclair Planning Board will hold a public hearing on whether to designate a new "non-condemnation redevelopment area" in town.
MONTCLAIR, NJ — The Montclair Planning Board will hold a public hearing on whether to designate a new “non-condemnation redevelopment area” in town on Monday, March 9.
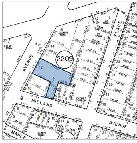
The hearing will be held to determine whether 619-631 Bloomfield Avenue is eligible for designation as a non-condemnation redevelopment area, according to the criteria set forth in N.J.S.A. 40A:12-5.
A map has been prepared that delineates the study area (see below).
Find out what's happening in Montclairfor free with the latest updates from Patch.
The item is on the agenda for the planning board’s March 9 meeting, which starts at 7 p.m.

Send local news tips and correction requests to eric.kiefer@patch.com. Learn more about advertising on Patch here. Find out how to post announcements or events to your local Patch site.
Find out what's happening in Montclairfor free with the latest updates from Patch.
Get more local news delivered straight to your inbox. Sign up for free Patch newsletters and alerts.