Could the new Potomac Nationals stadium be coming to Potomac Town Center?
Both candidates raise nearly $2 million from donations greater than $200, but Romney has $100,000 lead
Lake Ridge Burger King reopens, Manassas real estate developments, upcoming hearing for Manassas Park
In a recent YouTube video, the Woodbridge District supervisor talked about various Woodbridge transportation issues.
State Board of Elections drawing determines order of candidates on the ballot.
On Tuesday, Prince William County officials told tenants they must leave.
The delegate will make the announcement in Richmond on Thursday.
Arizona policy has similar aspects of Prince William County legislation.
Former 36th district Senate candidate will be stumping for Romney in the upcoming election.
Use alternate routes the weekend of June 22 - 25 and beyond on the "local lanes" side of the Outer Loop of the Beltway in the greater Alexandria area.
Virginia Railway Express preparing to seek public input about a possible smoking ban on train platforms.
Republican Lingamfelter will be going up against another local politician, board of county supervisors chair Corey Stewart.
Elements will guide the Strategic Plan Team in the development of community outcomes and strategies, county government said.
The candidates, incumbents and issues that will be affecting Woodbridge and Prince William County.
Senate candidate is visiting Woodbridge today.
Two are vying for U.S. Senate seat.
A look at local precincts results for the Republican primaries for U.S. Senate and 11th congressional district races.
Woodbridge, Lake Ridge, Occoquan and Dale City area voters cast their votes in Republican primaries for the U.S. Senate and 11th Congressional District.
Stephen J. Farnsworth, professor of political science at University of Mary Washington, said GOP nominee George Allen has two things going in his favor for Tuesday's primary.
Republican primaries set for U.S. Senate race and 11th congressional district, Democratic primaries set for 8th congressional district.
First lady spoke to a crowd of 745 people Thursday.
The first lady encouraged supporters to get out the vote.
Local residents line up at VFW post 1503 in Dale City in anticipation of the first lady.
George Allen and Corey Stewart tour throughout Woodbridge on Wednesday.
Former governor George Allen will be joined by Chairman Corey Stewart.
Board of County Supervisors can only use discretionary funds for office purposes.
First Lady Michelle Obama will be at a VFW post this Thursday.
If passed, supervisors won't be able to decide where extra money can be spent.
Motorists: Give your opinion to the agency by June 12.
Peak-of-the-peak surcharge eliminated, but fares will rise.
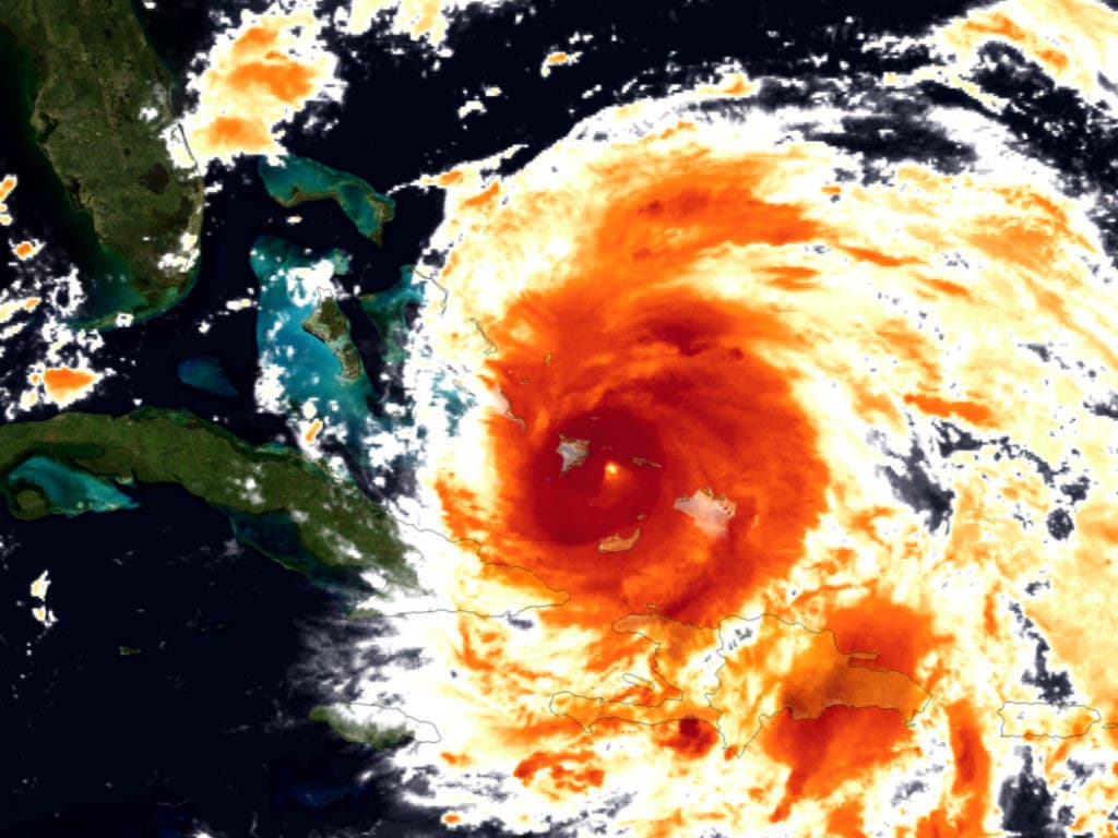
The National Hurricane Center released its predictions for the 2012 Atlantic hurricane season on Thursday.
Delegate Anderson presented a $8,000 scholarship to graduating senior Kacey M. Adams
What's open and what's closed on Monday.
Documents filed with the Securities and Exchange Commission reveal popular Mexican restaurant chain under investigation for hiring undocumented workers.
Exempt products include cell phone chargers and fire extinguishers.
VRE train #303 to Fredericksburg now has eight cars.
Renewable energy is a vast, complicated topic. Here's what you need to know.
Three names were added to the Roll of Honor at the county complex.
Police seized drugs and cash from a motel room at Olde Towne Inn in Manassas.
These special community meetings are May 19 from 19 a.m. to noon and May 23 from 7 p.m. to 9 p.m. at the McCoart Building.