Politics & Government
Public Hearing Slated On Large Industrial Warehouse Project
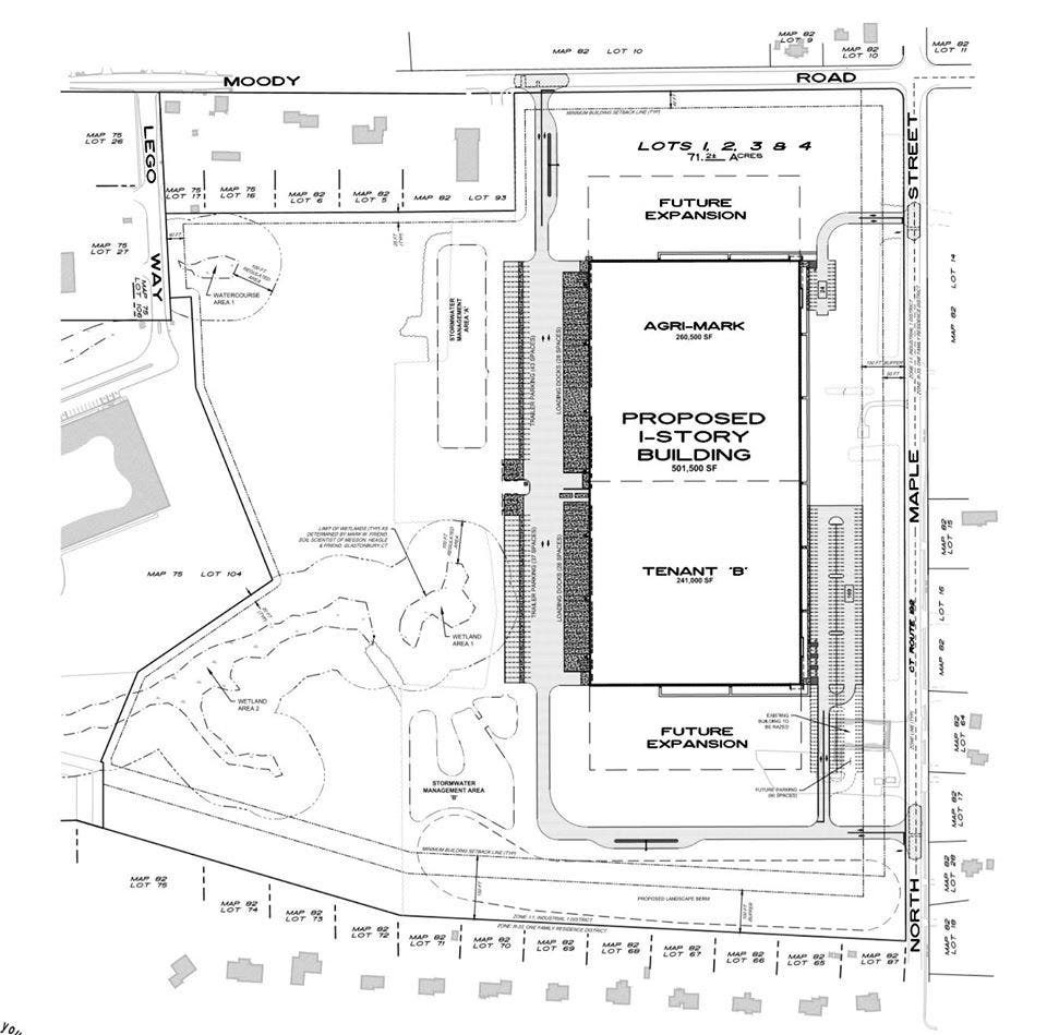
The project would involve construction of a 500,000 square foot distribution center at North Maple Street and Moody Road.

ENFIELD, CT — A lengthy meeting of the Enfield Planning & Zoning Commission Thursday included a presentation by a developer looking to build a 500,000 square foot distribution center on former farmland across from the former Enrico Fermi High School building.
Adam Winstanley, owner of Winstanley Enterprises of Concord, Mass., and several of his staff members and project managers outlined a proposed industrial warehouse encompassing 501,500 square feet on a 71-acre parcel at 113 North Maple Street, at the junction of Moody Road.
The project would involve razing the former Hawthorne's Agway building at 97 North Maple Street, which Winstanley purchased in Aug. 2017 for $950,000. The main portion of the acreage was acquired from Jarmoc Farms in April 2017 for $2.9 million, according to Enfield land records.
Find out what's happening in Enfieldfor free with the latest updates from Patch.
Just over half of the new distribution center would house Agri-Mark, which plans to consolidate its five Massachusetts-based warehouses into the single Enfield location. Agri-Mark is the premier dairy farmer cooperative in the Northeast, encompassing Cabot Creamery among others. Plans are for the remainder of the building to be leased to an as-yet unnamed tenant.
The single-story building would be 43 feet high, and three entrances woluld be created: one from Moody Road and a pair on North Maple Street. Considerable landscaping would shield the view of the building from adjacent streets, and a large berm with evergreen trees would be constructed on the south end of the property, abutting the north end of residential properties on Winter Way.
Find out what's happening in Enfieldfor free with the latest updates from Patch.
Prior to the start of the site plan approval process, PZC secretary Richard Szewczak expressed his opinion that, though not required, a public hearing on the application would be in the best interests of all parties. A 20-minute discussion ensued, with commission members raising concerns ranging from providing transparency to possibly causing a delay to the planned start of construction.
"A public hearing will tremendously hurt our schedule," Winstanley said, noting his firm plans to begin construction in August.
Ultimately, a public hearing was scheduled for the next PZC meeting, slated for Thursday, July 9 at 7 p.m. Due to continued restrictions brought on by the coronavirus pandemic, the meeting will again be held virtually, with members of the public invited to voice their opinions on the project.
An overview of Winstanley's presentation may be found here. A complete video of the June 25 meeting is posted below; the Winstanley segment begins around the 2:41:00 mark.
The July 9 public hearing may be accessed below:
https://meeting.windstream.com...
US - +16467415292
+16467415293
Meeting ID: 1110360064
Join By Telephone
US - +16467415292
+16467415293
+19738546173
Meeting ID: 1110360064




Get more local news delivered straight to your inbox. Sign up for free Patch newsletters and alerts.