Politics & Government
UPDATED: Cochituate Rail Trail Striving for Late 2012 Opening
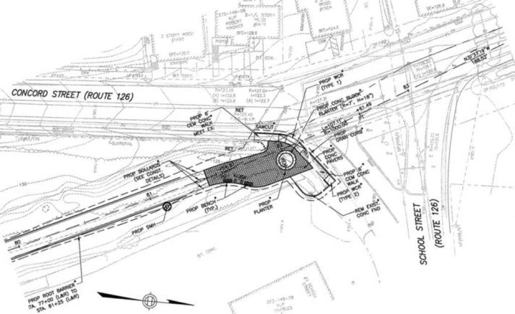
Update on the progress of the trail.
The Cochituate Rail Trail may be open to the public by the end of 2012, according to the Cochituate Rail Trail Committee.
The Committee met last week. The Division of Community and Economic Development will be submitting a 25% design plan to MassDOT on Aug. 9.
After the design plan submission, a public hearing will be scheduled and designs can be formally created. The design phase could be started and completed in 2012, according to Committee Chair Mark Lamkin, pending no funding or design problems.
Find out what's happening in Framinghamfor free with the latest updates from Patch.
The Town of Framingham purchased the land for the Cochituate Rail Trail in 2001. The plan went forth by combining the new rail trail and a new sewer system into one project. The Framingham Department of Public Works has installed a new sewer system under the Rail Trail land, as well as two new bridges.
The first of the bridges (North Bridge) is completed and in place. The second bridge (South Bridge) installment has been postponed until larger construction is completed. The sewer portion of the project is expected to be completed by the end of this calendar year.
Find out what's happening in Framinghamfor free with the latest updates from Patch.
The design of the new trail is now in the hands of the Cochituate Rail Trail Committee, project manager Gene Kennedy, and Bill Paille, who works with the Weston and Sampson infrastructure company.
The sewer work was funded with federal stimulus money. The rest of the project is being funded through the state Transportation Improvement Program.
In addition, Friends of Saxonville received $43,000 in donations/grants specifically for the trail project.
During the first week of July, Lamkin told the Committee he walked the trail.
"When walking, I noticed several drainage issues," Lamkin said. "There were three drainage issues, stemming from some private property run-off and storm water.
"It is a trail safety issue. We do not want people to get off the trail and run into a drainage ditch," said Committee member Andrea Carr Evans at the last meeting. She feared with snow run-off, drainage issues may get worse.
"If we know there is a drainage problem, but it is ignored, who is responsible to fix it?," she asked.
The Committee agreed the responsibility would fall to the
Another issue discussed at the meeting was road crossings on the trail. One of the crossings, by TJX Corp. has complicated the design phase. Five different design arrangements were made.
Lamkin said at the last meeting that the simplest design was included in the plan but the town hopes to submit later a different plan integrating the traffic signal for the trail crossing with a proposed signal at the nearby TJX office.
When the trail is closer to completion, the Cochituate Rail Trail Committee plans to hold a public walking tour of the new trail.
To keep tabs on the project visit www.crtrail.org.
To see the current design plans, visit: http://www.crtrail.org/files/2007113-Final_Bid_Drawings.pdf?select0=2007113-Final_Bid_Drawings.pdf.
