Politics & Government
Planning Board to Review Green Village Redevelopment Plans Tonight
Finishing touches being put on plans for mixed-use project on Board of Ed property.
A major borough real estate redevelopment project is on the agenda for review before the Planning Board, which meets tonight at 7:30 p.m. at .
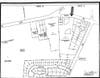
The 's shuttered Green Village Road School property, at Kings Road and Madison Avenue, most recently was occupied by and the Adult School, which now rent space from the . The site also includes the former property and a parking lot for a nearby gas station.
The renamed Green Village Road Special Use District has been zoned for specific types of commercial and residential use, including a boutique hotel and community theater. The site plan is also designed to work in concert with the Central Business district.
Find out what's happening in Madisonfor free with the latest updates from Patch.
"At tonight's meeting, our planner will be working with the board to put the finishing touches on a recommended redevelopment plan for the Green Village Road School area," said Planning Board chair Steven Tombalakian. "Rather than reinvent the wheel, we will be adapting the existing zoning to conform with the redevelopment law. The plan that the governing body ultimately adopts will set the standards for any future development of the parcel when and if the Board of Education decides to divest it."
Get more local news delivered straight to your inbox. Sign up for free Patch newsletters and alerts.
