Pets
Pet Cat Shot In Carmel
There's a $1,000 reward for info leading to the arrest of the person or people who did it.
CARMEL, NY — A pet cat was shot in Carmel some time between July 2 and Independence Day. Officers of the Putnam County SPCA are investigating.
It's a case of Aggravated Cruelty, a Felony under the NYS Agriculture & Markets Law, SPCA officials said. A $1,000 reward is being offered for information leading to an arrest and conviction.
“The individual(s) responsible for this heinous assault on a family pet must be brought to justice," said Pat Valusek, president of the Kingston-based New York State Humane Association, which is offering the reward.
Find out what's happening in Southeast-Brewsterfor free with the latest updates from Patch.
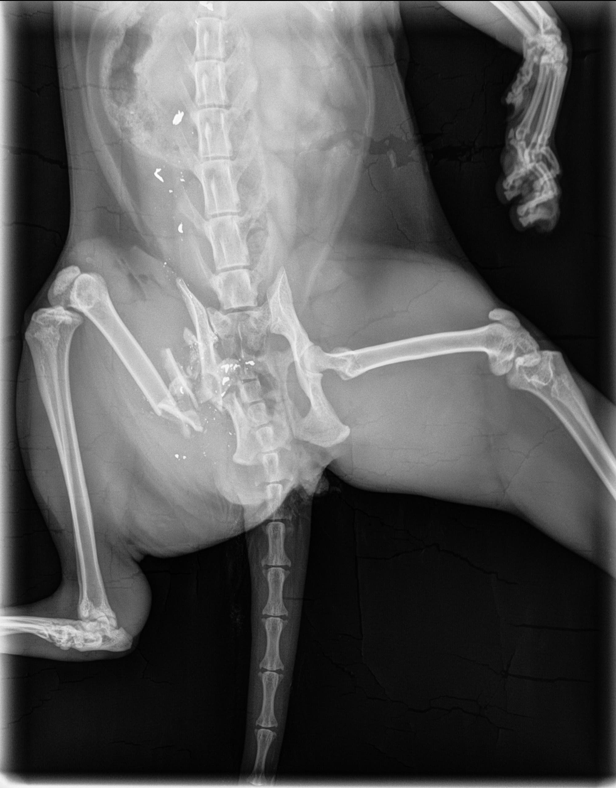
The domestic 7-year-old black cat named Simon was shot by a high powered pellet or a small caliber bullet, they said.
Simon was let outside July 2. On July 4 he returned home with an injury to his hind quarters.
Find out what's happening in Southeast-Brewsterfor free with the latest updates from Patch.
The owner took the cat to the Brewster Veterinary Hospital, and the vet found metal fragments throughout the midsection. The projectile caused a broken femur bone and pelvis.

The veterinary surgeon was able to remove a small fragment of the projectile, but the rest had to be left in so as not to further endanger the cat’s life. SPCA officials said the shooting caused extreme pain, serious physical injury and permanent physical impairment of Simon’s hind legs.
The cat is stable and resting at home, in the Drewville Road area near the cross streets of Hickory Bend Road and Crafts Road.
The Putnam County SPCA Humane Law Enforcement Division is investigating this crime and asks anyone having any information to please call 845-520-6915. All calls can remain anonymous.
“All animals are protected under the animal cruelty laws of NY State. Cats are allowed outside and should not be targeted by anyone," said Chief Ken Ross of the Putnam County SPCA. "Shooting any domestic animal, especially in a residential neighborhood is criminal and reckless.”
Putnam County SPCA 24 Hour Hotline – 845-520-6915.
Get more local news delivered straight to your inbox. Sign up for free Patch newsletters and alerts.