Politics & Government
Feds Establish Trump Tower No-Fly Zone, Could Mess With LaGuardia Flights
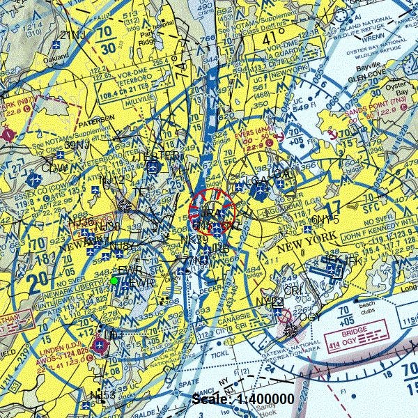
Pilots will be banned from entering airspace within a two nautical mile radius around Trump Tower or fly under an altitude of 3,000 feet.

MIDTOWN MANHATTAN, NY — In the wake of Donald Trump's victory in the presidential election, security at Midtown Manhattan's Trump Tower is at an all-time high. Approaching the building from the ground has become near-impossible, with NYPD barricades and a perimeter of sanitation trucks set up along 6th Avenue.
But as of Thursday, the sky around Trump Tower and surrounding Midtown buildings will be off limits. The Federal Aviation Administration has ordered a temporary flight restriction effectively immediately through Jan. 21. The end of the flight restriction is the day after Trump is set to be inaugurated as the 45th President of the United States.
Attention pilots: There is a temporary flight restriction in effect over NY, NY until Jan. 21, 2017. NOTAM details: https://t.co/K6tWpxx3b9
— The FAA (@FAANews) November 10, 2016
The FAA's restrictions will prevent planes from coming within a two nautical mile radius of its epicenter, Trump Tower, and will ban planes from flying lower than 3,000 feet.
Find out what's happening in Midtown-Hell's Kitchenfor free with the latest updates from Patch.
The no-fly zone is right next to LaGuardia Airport, which could mean flights in and out of the airport could be prolonged due to the need for less-direct flight paths. A spokeswoman from the Port Authority of New York & New Jersey told Patch that the FAA is not reporting any flight delays due to the restriction.
The restriction identifies the no-fly zone as "national defense airspace," and details that pilots violating the protocol can be intercepted, detained and interviewed by law enforcement. The FAA may also take action against pilots through civil penalties and revocations of pilots licenses or in some cases criminal charges.
Find out what's happening in Midtown-Hell's Kitchenfor free with the latest updates from Patch.
And, of course, if a pilot is deemed an imminent threat the government has the right to blow them to smithereens.
There will be some exceptions to the restriction such as military aircraft used by the secret service or law enforcement aircraft used for firefighting and medical evacuations, according to the FAA. Aircraft departing and leaving from certain airports — such as small helipads on West 30th Street and the Lincoln Tunnel heliport by Weehawken — will also be able to fly in the zone, but must keep constant contact with an Air Traffic Controller.
Photo: Federal Aviation Administration
Get more local news delivered straight to your inbox. Sign up for free Patch newsletters and alerts.